Elara Boulevard and Northbourne Drive intersection
With funding from the NSW Government, Blacktown City Council is delivering an upgrade to the intersection of Elara Boulevard and Northbourne Drive to improve pedestrian safety and traffic flow, and reduce the chance of accidents.
Why do we need to upgrade the intersection?
The traffic volumes have reached levels where the present control no longer provides an effective and safe intersection for the Elara community.
The NSW Government has committed funding for the project which Blacktown City Council will deliver.
Options we investigated
1. Signalised intersection
Our traffic experts assessed the proposal to signalise the intersection. Traffic signals within the existing footprint of the intersection would respond to community concerns about safety, but will fall short on operational efficiency. Traffic signals will result in unacceptable delays, with long queues of up to 300 m during peak hours.
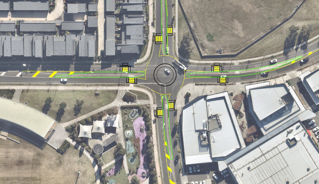
2. Roundabout
We also assessed the introduction of a roundabout within the existing intersection footprint. We found that a roundabout will have excellent operational efficiency with minimum delays and maximum queue lengths of only 100 m during peak hours.
We propose a roundabout
Based on our analysis, we believe that a roundabout will provide smoother traffic flow, less congestion and better community safety outcomes.
A roundabout will result in excellent local connectivity, improved traffic flow, lower speeds and excellent community safety outcomes.
To enhance the safety of the intersection, we will add:
- raised pedestrian crossings at each of the 4 legs of the intersection
- 4 m wide median in the centre of both roads.
The raised platform for the pedestrian crossings will alert drivers, and reduce the vehicle speeds to less than 30 km/h. The 4 metre-wide medians will further enhance pedestrian safety as they will allow for staggered crossing, i.e. pedestrians can cross traffic lanes one at a time.
This option is safer for pedestrians than a crossing as part of a signalised intersection, as traffic speeds at signals are significantly higher, meaning any accidents will result in more severe injuries.
The construction of a roundabout will also involve less disruption to the community, as works will take place above ground and in the existing road surface, with no need for underground cabling, which a signalled intersection would require.
Please note that the illustration of the pedestrian crossing is just to show the layout of a staggered crossing. Our crossing will be raised for greater pedestrian safety.
Get involved
We welcome comments and questions about the proposal. Please submit your feedback below, or come and talk with us at the information session on Saturday 12 October. Additional sessions will be scheduled in the coming days.
Have your say
We would like to hear from you and what you think of the proposal.




Thank you for your contribution!
Help us reach out to more people in the community
Share this with family and friends